Moltkefels, Nettelbeck, Posen - wraki i historia Helu 1945

Wstecz

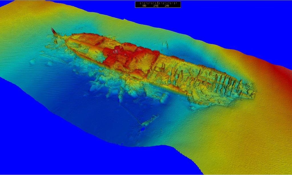
W końcowych miesiącach wojny, Półwysep Helski stanowił swego rodzaju stację pośrednią dla niemieckich uciekinierów w drodze na zachód. Statki z Piławy czy Gdyni dopływały na redę Helu i tam dobierały kolejnych uchodźców, (w pewnym momencie na półwyspie było 200 000 niemieckich uciekinierów) a potem płynęły w dalszą drogę do Świnoujścia czy Kilonii. Ponieważ port Helski nie był w stanie pomieścić tak wielkich statków operacja ta odbywała się na redzie. Wszystko to działo się po północnej stronie Helskiej Kosy, tak aby uniknąć radzieckich ataków. Metoda ta była wykorzystywana już po zajęciu Gdyni i Gdańska przez Rosjan, czyli koniec marca i kwiecień 1945 r. Dzięki temu statki były bezpieczne i chroniły się przed ostrzałem z brzegu. Oczywiście nie była to skuteczna osłona przed radzieckim lotnictwem, które w tym czasie praktycznie królowało nad Zatoką Gdańską. Rosjanie regularnie cały kwiecień bombardowali stojące na redzie jednostki część z nich skutecznie zatapiając. Wraki tych jednostek starczały długo jeszcze z wody. Po wojnie kilka z nich zostało wydobytych i wróciły do służby tak jak chociażby Albert Jensen, który podniesiony przez Rosjan pływał wiele lat pod nazwa Profesor Popow, czy Emliy Sauber podniesiona przez PRO i wcielona do polskiej floty jako "Kielce". Jednak wraki trzech jednostek; Moltkefels, Nettlebeck i Posen, zostały na dnie do dziś. Można je nawet wypatrzeć na Google maps, bo zalegają na głębokości od 3 do 5 m blisko brzegu. Resztki Nettelbeck, mylnie nazywane jako "dwa w jednym" są od lat celem nurkowych wypłynięć z Helu. Dlaczego 2 w 1 ? Ponieważ pierwsi nurkowie, którzy odkryli go ponad 30 lat temu myśleli że to stalowy wrak jednostki, który spoczął na drewnianym wraku żaglowca. W rzeczywistości jest to pojedynczy wrak metalowej jednostki z dużą ilością drewna z pokładu. Historia jego zatonięcia została szczegółowo opisana przez samego kapitana o nazwisku Daniel Devaux, który pojawił się w Gdańsku w 2005 roku prosząc o możliwość zorganizowania rejsu na wrak jego statku, przy okazji opowiadając przebieg katastrofy: otóż, Nettelbeck opuścił Piławe 25 stycznia 1945 na holu (podczas operacji Hannibal, Niemcy wykorzystywali wszystkie jednostki do ewakuacji uciekinierów z Prus Wschodnich, nawet te niesprawne) po minięciu helskiej kosy pogoda popsuła się na tyle, że statek zerwał się z liny i osiadł na mieliźnie. Załoga całą noc walczyła z żywiołem i w końcu, po założeniu tzw. tyrolki udało się uratować wszystkich 149 pasażerów w tym 60 dzieci, oraz całą 29 osobową załogę. Był to na prawdę spory wyczyn w tak trudnych warunkach. Historia Moltkefels i Posen jest trochę inna. Oba statki czekały na załadunek i oba zostały zatopione przez radzieckie lotnictwo. Na obu zginęło odpowiednio 500 i 277 osobo. Zresztą historie Moltkefels opisywaliśmy już rok temu (więcej tutaj) i odezwali się do nas potem mieszkańcy Półwyspu, którzy dobrze pamiętają jego historię. Statek Posen, służył na koniec wojny jako Szpitalniowiec i tak został zatopiony, jego wrak przez wiele lat był zasypany, co utrudniało lokalizacje i identyfikację. W zeszłym roku sztormy go odsłoniły i możemy podziwiać jego resztki na fantastycznych obrazach z multibeama wykonanych przez Urząd Morski w osobie Jacka Koszałki.

Opracowanie Tomasz Zwara, Tomasz Stachura / Baltictech

 

Ekipa w składzie:

Tomasz Stachura

Tomasz Zwara

Piotr Cybula

Maciej Marcinkowski

Bartłomiej Pitala

Lukasz Pastwa

Krzysztof Harbul

Wojciech Drzazgowski

 

Masz pytania?

Napisz do nas!